情報更新日:2025年11月20日/広告有効期限:なし
表示閲覧回数(過去30日間):113
お急ぎの方はお電話からお気軽にどうぞ!
096-366-5020 営業時間 / 月〜金 9:30〜17:30 定休日 / 土曜日・日曜日・祝祭日
>物件詳細情報
| 基本情報 | |
|---|---|
| 物件番号 | 10007807417 |
| 店舗形態 | 店舗, 店舗(飲食店可), 路面店舗 |
| オススメ業種 | 軽飲食, 物販関係, 美容関係, 医療関係 |
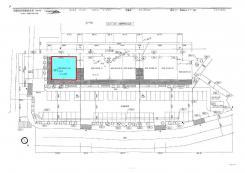
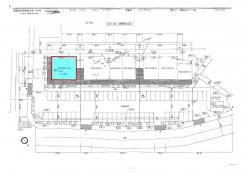
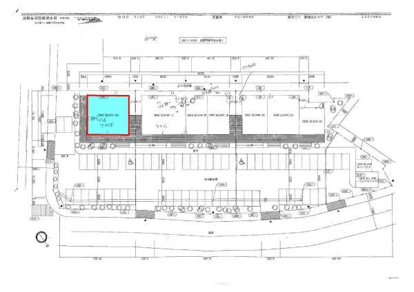
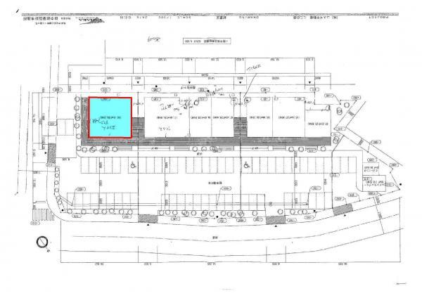
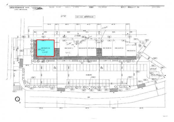
| 物件名 | にじの森プラザ A区画 |
| 物件の状態 | 空き |
| 引越し時期 | 即 |
| 契約形態と期間 | |
| 所在地・交通 | |
|---|---|
| 所在地 | 熊本県菊池郡菊陽町武蔵ヶ丘北2-15-10 |
| 交 通1 | 熊本電鉄バス尚絅大学前 徒歩1分 |
| 交 通2 | 豊肥本線武蔵塚駅 徒歩23分 |
| 賃料 | |
|---|---|
| 賃 料 | 552,860円(税込) |
| 敷 金 |
3ヶ月 |
| その他 | |
|---|---|
| 備考 | 前面に共有駐車場50台以上 裏手には大型分譲住宅有 広々とした50.26坪の1階店舗 ロードサイドで高い視認性を確保 飲食店運営に適したスペース設計 地元住民と観光客の集客力 |
| 建物 | |
|---|---|
| 建物構造 | 鉄骨造 |
| 建物階建て |
地上1階 |
| 施工年月 | 2013(平成25)年 07月 |
| 募集物件の階数 | 地上 1階 |
| 契約面積 | 166.15m2(50.26坪) |
| 用途地域 | 1種中高 |
| 設備 | |
|---|---|
| 水道 | 公営 |
| 下水道 | 公共下水 |
| エレベータ | 無 |
| エアコン | 無 |
| シャッター | 無 |
| 内装業者指定 | 無 |
| 駐車場 | |
|---|---|
| 状 況 | 空有 |
| 取引情報 | |
|---|---|
| 取引態様 | 媒介 |
| 客付 | 可 |
この物件をチェックした人はこんな物件も見ています
- 南区の魅力的な1階店舗で、あなたの夢を形にしよう★

熊本県熊本市南区並建町263
110.85m2(33.53坪)
107,800円(税込)
- 上熊本駅徒歩圏内でビジネスを格上げ!多目的利用可能な広々空間!

熊本県熊本市西区上熊本1-10-21
264.93m2(80.14坪)
1,100,000円(税込)
- 黒髪6丁目貸地!賃料格安☆プレハブの設置相談可!

熊本県熊本市中央区黒髪6-4-19
596m2(180.29坪)
170,000円(税込)
- TSMC至近、延床9,000坪クラスの大型2層物流倉庫が誕生します!事務所併設、駐車場・両面トラックバース完備で最大4区画分割可能です!

熊本県菊池市旭志川辺-908,909他
31,372.92m2(9,490.31坪)
賃料未定
- マートなオフィスを求めるなら、14.77坪の最適物件★フリーレント1か月!

熊本県熊本市西区田崎3-1-4
48.83m2(14.77坪)
93,500円(税込)
今日チェックした物件
お急ぎの方はお電話からお気軽にどうぞ!
096-366-5020 営業時間 / 月〜金 9:30〜17:30 定休日 / 土曜日・日曜日・祝祭日


096-366-5020

















096-366-5020